loader

2024 TOYOTA VENZA LE

  • Джип/Пикап
  • В движение
  • CA, САЩ
Номер на аукцион # : 44580285
VIN : JTEAAAAH3RJ158766
Тип щета : Удар
Основна щета : Предна част
Второстепенна щета : N/A
Гориво : Хибриден
Скоростна кутия : Автоматична
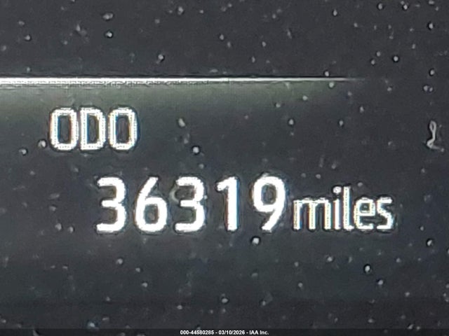
Пробег : 58,110 км
Тип МПС : Джип/Пикап
Клас : N/A
Двигател : 2.5L I-4 DI, DOHC, VVT, 176HP
Ключ : Наличен
Задвижване : AWD
Брой цилиндри : 4 цилиндъра

Ключ  Наличен
Състояние  Готов за продажба
Състояние на МПС  В ДВИЖЕНИЕ
Автомобилът е успял да запали, да се включи на скорост и да се предвижи.
Километраж  Актуален
Обади се
Прогнозна пазарна цена (USD)
калкулиране...

Забележка: Цената е ориентировъчна, по предишни търгове и продажби. Може да има несъответствия с текущия автомобил.

Информация за търг

North Hollywood
#44580285
01 Apr 2026 18:30

Проверка на VIN

Допълнителни данни за МПС

Актуална цена $36,210.00
Вид N/A
Цвят Бял
Възд.възглавница N/A
Размер на двигателя 2.5L I-4 DI, DOHC, VVT, 176HP
Шофьорска възд.възглавница N/A
Ключ Наличен
Възглавници 1
VIN статус ОК
Навигация Наличен
На съхранение N/A

Подобни аукциони

Изтеглете приложението AutoMart
Google Play Скоро