loader

2017 NISSAN ROGUE SV

  • Джип/Пикап
  • В движение
  • NY, САЩ
Номер на аукцион # : 44532384
VIN : JN8AT2MV7HW256887
Тип щета : Удар
Основна щета : Предна част
Второстепенна щета : N/A
Гориво : Бензин
Скоростна кутия : Автоматична
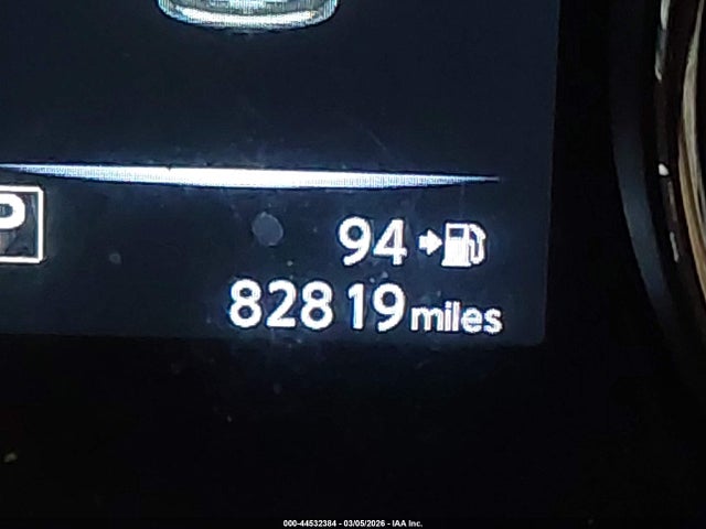
Пробег : 132,510 км
Тип МПС : Джип/Пикап
Клас : N/A
Двигател : 2.5L I-4 DOHC, VVT, 170HP
Ключ : Наличен
Задвижване : AWD
Брой цилиндри : 4 цилиндъра

Ключ  Наличен
Състояние  Готов за продажба
Състояние на МПС  В ДВИЖЕНИЕ
Автомобилът е успял да запали, да се включи на скорост и да се предвижи.
Километраж  Актуален
Обади се
Прогнозна пазарна цена (USD)
калкулиране...

Забележка: Цената е ориентировъчна, по предишни търгове и продажби. Може да има несъответствия с текущия автомобил.

Информация за търг

Buffalo
#44532384
01 Apr 2026 15:30

Проверка на VIN

Допълнителни данни за МПС

Актуална цена $14,107.00
Очаквана цена на ремонта $14,107.00
Възглавници 1
Възд.възглавница Непокътнат/и
Ключ Наличен
Вид N/A
Цвят Черен
Шофьорска възд.възглавница Непокътнат/и
VIN статус ОК
Навигация Наличен
Размер на двигателя 2.5L I-4 DOHC, VVT, 170HP
На съхранение N/A

Подобни аукциони

Изтеглете приложението AutoMart
Google Play Скоро