loader

2018 NISSAN ROGUE S

  • Джип/Пикап
  • В движение
  • NY, САЩ
Номер на аукцион # : 44400530
VIN : KNMAT2MV3JP556678
Тип щета : Удар
Основна щета : Лява страна
Второстепенна щета : Лява задна
Гориво : Бензин
Скоростна кутия : Автоматична
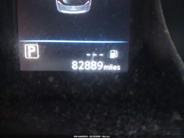
Пробег : 132,622 км
Тип МПС : Джип/Пикап
Клас : N/A
Двигател : 2.5L I-4 DOHC, VVT, 170HP
Ключ : Наличен
Задвижване : AWD
Брой цилиндри : 4 цилиндъра

Ключ  Наличен
Състояние  Готов за продажба
Състояние на МПС  В ДВИЖЕНИЕ
Автомобилът е успял да запали, да се включи на скорост и да се предвижи.
Километраж  Актуален
Обади се
Прогнозна пазарна цена (USD)
калкулиране...

Забележка: Цената е ориентировъчна, по предишни търгове и продажби. Може да има несъответствия с текущия автомобил.

Информация за търг

Long Island
#44400530
24 Mar 2026 15:30

Проверка на VIN

Допълнителни данни за МПС

Актуална цена $10,029.00
Вид N/A
Цвят N/A
Възд.възглавница Непокътнат/и
Очаквана цена на ремонта $8,135.00
Размер на двигателя 2.5L I-4 DOHC, VVT, 170HP
Шофьорска възд.възглавница Непокътнат/и
Ключ Наличен
Възглавници 1
VIN статус ОК
Навигация Няма информация
На съхранение N/A

Подобни аукциони

Изтеглете приложението AutoMart
Google Play Скоро