loader

2017 KIA NIRO EX

  • Джип/Пикап
  • В движение
  • CA, САЩ
Номер на аукцион # : 44364606
VIN : KNDCC3LC9H5058392
Тип щета : Удар
Основна щета : Предна част
Второстепенна щета : Лява предна
Гориво : Хибриден
Скоростна кутия : Автоматична
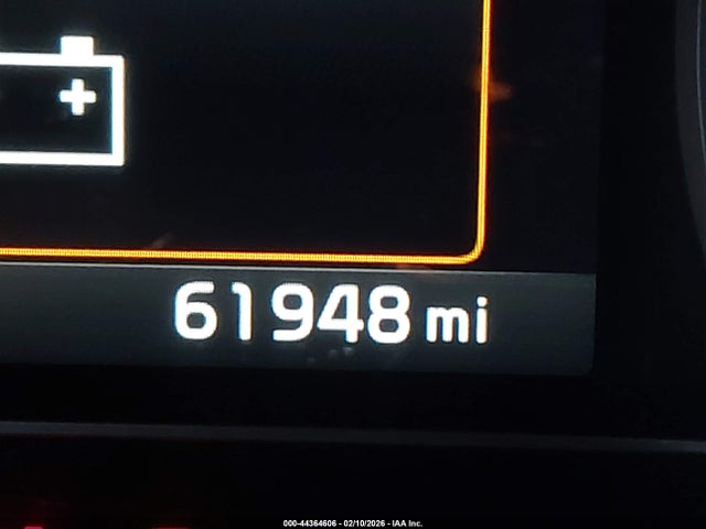
Пробег : 99,117 км
Тип МПС : Джип/Пикап
Клас : N/A
Двигател : 1.6L I-4 DI, DOHC, VVT, 104HP
Ключ : Наличен
Задвижване : Предно задвижване
Брой цилиндри : 4 цилиндъра

Ключ  Наличен
Състояние  Готов за продажба
Състояние на МПС  В ДВИЖЕНИЕ
Автомобилът е успял да запали, да се включи на скорост и да се предвижи.
Километраж  Актуален
Обади се
Прогнозна пазарна цена (USD)
калкулиране...

Забележка: Цената е ориентировъчна, по предишни търгове и продажби. Може да има несъответствия с текущия автомобил.

Информация за търг

San Diego
#44364606
23 Mar 2026 18:30

Проверка на VIN

Допълнителни данни за МПС

Актуална цена $11,928.00
Възглавници 1
Размер на двигателя 1.6L I-4 DI, DOHC, VVT, 104HP
Навигация Наличен
Ключ Наличен
translations.Rear Entertainment Няма информация
Вид N/A
Цвят N/A
Радио Наличен
Шофьорска възд.възглавница Непокътнат/и
VIN статус ОК
Интериорен цвят Черен
Възд.възглавница Непокътнат/и
На съхранение N/A

Подобни аукциони

Изтеглете приложението AutoMart
Google Play Скоро