loader

2015 GMC YUKON DENALI

  • Джип/Пикап
  • TX, САЩ
Номер на аукцион # : 44233661
VIN : 1GKS1CKJ5FR292203
Тип щета : Друго
Основна щета : Изземване
Второстепенна щета : Дясна предна
Гориво : Бензин
Скоростна кутия : Автоматична
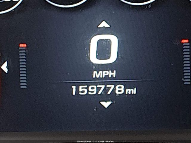
Пробег : 255,645 км
Тип МПС : Джип/Пикап
Клас : Джип
Двигател : 6.2L V-8 DI, VVT, 420HP
Ключ : Наличен
Задвижване : 4x2
Брой цилиндри : 8 цилиндъра

Ключ  Наличен
Състояние  Готов за продажба
Състояние на МПС  СТАЦИОНАРНО
Автомобилът не е успял да запали, в стационарно положение е.
Километраж  Актуален
Запитване Прогнозна цена: калкулиране... Забележка: Прогнозната цена се сформира на предишни търгове и продажби, включително за период от 6 месеца. Цената е ориентировъчна и понякога може да има несъответствия с текущият автомобил.

Проверка на VIN

Допълнителни данни за МПС

Възглавници 1
Размер на двигателя 6.2L V-8 DI, VVT, 420HP
VIN статус ОК
Възд.възглавница Непокътнат/и
Ключ Наличен
Вид N/A
Цвят N/A
Шофьорска възд.възглавница Непокътнат/и
Навигация Наличен
Актуална цена $15,025.00
На съхранение N/A

Подобни аукциони