loader

2015 CHEVROLET TAHOE LT

  • Джип/Пикап
  • В движение
  • GA, САЩ
Номер на аукцион # : 43971624
VIN : 1GNSCBKC2FR535684
Тип щета : Удар
Основна щета : Дясна страна
Второстепенна щета : Предна част
Гориво : Бензин
Скоростна кутия : Автоматична
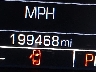
Пробег : 319,149 км
Тип МПС : Джип/Пикап
Клас : Джип
Двигател : 5.3L V-8 DI, VVT, 355HP
Ключ : Наличен
Задвижване : 4x2
Брой цилиндри : 8 цилиндъра

Ключ  Наличен
Състояние  Готов за продажба
Състояние на МПС  В ДВИЖЕНИЕ
Автомобилът е успял да запали, да се включи на скорост и да се предвижи.
Километраж  Актуален
Запитване Текущ залог: $1150.00 Прогнозна цена: калкулиране... Забележка: Прогнозната цена се сформира на предишни търгове и продажби, включително за период от 6 месеца. Цената е ориентировъчна и понякога може да има несъответствия с текущият автомобил.

Проверка на VIN

Допълнителни данни за МПС

Актуална цена $11,818.00
Вид N/A
Цвят Черен
Възд.възглавница Непокътнат/и
Очаквана цена на ремонта $8,345.00
Размер на двигателя 5.3L V-8 DI, VVT, 355HP
Шофьорска възд.възглавница Непокътнат/и
Ключ Наличен
Възглавници 1
VIN статус ОК
Навигация Наличен
На съхранение N/A

Подобни аукциони