loader

2014 CHEVROLET SILVERADO 1500 1LT

  • Джип/Пикап
  • В движение
  • IN, САЩ
Номер на аукцион # : 43655797
VIN : 1GCVKREC1EZ292641
Тип щета : Друго
Основна щета : Предна част
Второстепенна щета : N/A
Гориво : Бензин
Скоростна кутия : Автоматична
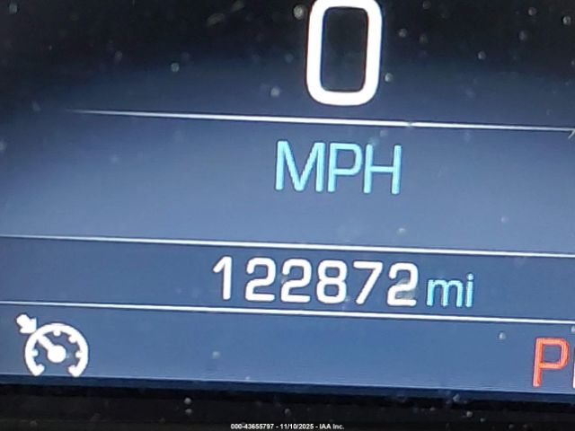
Пробег : 196,595 км
Тип МПС : Джип/Пикап
Клас : Джип/Пикап
Двигател : 5.3L V-8 DI, VVT, 355HP
Ключ : Наличен
Задвижване : 4x4
Брой цилиндри : 8 цилиндъра

Ключ  Наличен
Състояние  Готов за продажба
Състояние на МПС  В ДВИЖЕНИЕ
Автомобилът е успял да запали, да се включи на скорост и да се предвижи.
Километраж  Актуален
Запитване Прогнозна цена: калкулиране... Забележка: Прогнозната цена се сформира на предишни търгове и продажби, включително за период от 6 месеца. Цената е ориентировъчна и понякога може да има несъответствия с текущият автомобил.

Проверка на VIN

Допълнителни данни за МПС

Актуална цена $15,825.00
Вид N/A
Възд.възглавница N/A
Цвят Сребърен
Размер на двигателя 5.3L V-8 DI, VVT, 355HP
Шофьорска възд.възглавница N/A
Очаквана цена на ремонта $10,242.00
Възглавници 1
Навигация Наличен
Ключ Наличен
VIN статус ОК
На съхранение N/A

Подобни аукциони