loader

2018 BUICK ENCLAVE ESSENCE

  • Джип/Пикап
  • В движение
  • TX, САЩ
Номер на аукцион # : 43616191
VIN : 5GAEVAKW3JJ244429
Тип щета : Удар
Основна щета : Предна част
Второстепенна щета : N/A
Гориво : Бензин
Скоростна кутия : Автоматична
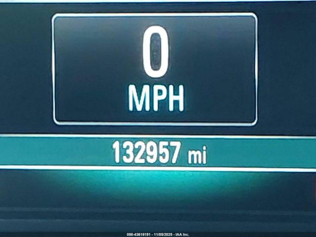
Пробег : 212,731 км
Тип МПС : Джип/Пикап
Клас : N/A
Двигател : 3.6L V-6 DI, DOHC, VVT, 310HP
Ключ : Наличен
Задвижване : AWD
Брой цилиндри : 6 цилиндъра

Ключ  Наличен
Състояние  Готов за продажба
Състояние на МПС  В ДВИЖЕНИЕ
Автомобилът е успял да запали, да се включи на скорост и да се предвижи.
Километраж  Актуален
Запитване Прогнозна цена: калкулиране... Забележка: Прогнозната цена се сформира на предишни търгове и продажби, включително за период от 6 месеца. Цената е ориентировъчна и понякога може да има несъответствия с текущият автомобил.

Информация за аукцион

Проверка на VIN

Допълнителни данни за МПС

Актуална цена $12,640.00
Навигация Наличен
Възглавници 1
Размер на двигателя 3.6L V-6 DI, DOHC, VVT, 310HP
Радио Наличен
Интериорен цвят N/A
Ключ Наличен
translations.Rear Entertainment Няма информация
Вид N/A
Цвят Бял
Шофьорска възд.възглавница Непокътнат/и
VIN статус ОК
Възд.възглавница Непокътнат/и
На съхранение N/A

Подобни аукциони